Health Benefits
    Facebook Twitter Instagram
    Friday, December 5
    Facebook Twitter Pinterest
    Health Benefits
    • Home
    • Dental Health
    • Mental Health
    • Weight Loss
    • Health Wiki
    • Nutrition
    • Healthy Recipe
    • BMI Calculator
    Health Benefits
    Home»Herbs and Spices»Facts about Fiddle dock
    Herbs and Spices

    Facts about Fiddle dock

    By SylviaFebruary 27, 2019Updated:February 28, 2019No Comments6 Mins Read
    Facebook Twitter Pinterest LinkedIn Tumblr Email

    Facts about Fiddle dock

    Rumex pulcher is a species of flowering plant in the knotweed family known by the common name fiddle dock.  The plant is native to Eurasia and North Africa and it can be found elsewhere, including parts of North America, as an introduced species and a roadside weed. It is quite variable in appearance, and some authorities divide it into several subspecies that are more or less distinguishable. Few of the popular common names of the plant are fiddle leaf dock, red dock, slender dock, fiddle and fiddle dock. Rumex is derived from the Latin name for Sorrel. Pulcher is Latin for beautiful and refers to the elegantly waisted leaves of the basal rosette. Fiddle Dock refers to the fiddle or violin shape of some of the basal leaves. Dock is from the Old English docce meaning a coarse weedy herb.

    Fiddle dock gets its name from having leaves shaped like a fiddle (or violin). It is a common dock species found throughout New Zealand. It is probably not quite as common as broad-leaved dock within pastures. However, because it tends to be a bit smaller than many of the other dock species, it is better able to tolerate regular mowing and so is typically the main dock species found in turf. Under regular mowing, it grows very flat to the ground and has smaller leaves than in a pasture or waste area situation. Within turf, it never really gets an opportunity to set seed as the seed-head gets removed by the mower before it has developed very far (unless of course the turf is seldom mowed). Fiddle dock is a perennial weed with a tap-root, and grows as a rosette with its leaves radiating out from a central growing point located at ground-level.

    Plant Description

    Fiddle dock is a biennial or short-lived, much-branched perennial herb that grows about 1 m tall. The plant is found growing in pastures, waterways, wasteland, roadsides, railway yards, other habitats near settlements, roadsides, coastal pastures, commons and churchyards. The plant prefers shallow, winter water logged, duplex and sandy soils. The plant has multiple taproots like small dark brown carrots up to 200 mm long and 20 mm wide. Short, thick underground stem or crown is on top of the taproots. Stem is erect, pithy or hollow, fluted, stiff, slender, 200-1000 mm tall and hairless. It is branched from the base and much branched along their length. Branches are usually at right angles to the stem and almost horizontal.

    Leaves

    Leaves are ovate-oblong, 3-16 cm long, fleshy, papillate or hairy on the veins below, slightly cordate at the base. Lower leaves are pandurate and upper leaves are lanceolate. Margin is finely scalloped. The top of the plant may bend, especially as the fruit develops.

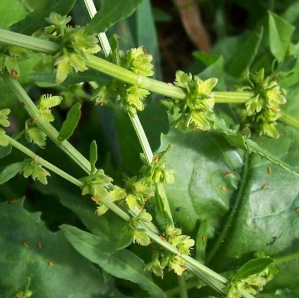
    Flower & Fruit

    The inflorescence is made up of many branches, each an interrupted series of clusters of flowers with up to 20 in each cluster, each flower hanging from a pedicel. The flower has usually six tepals, the inner three of which are edged with teeth and have tubercles at their centers. Flowering normally takes place from September to December in WA and October to December in SA. Fertile flower are followed by trigonous brown nut, covered by thick valves, reticulate and toothed, with up to 9 teeth almost spiny. Seeds are triangular pyramid nut, glossy, pale to dark brown, 1.5-4 mm long x 1 mm wide, widest below the middle.

    History

    Some species of this genus (with the name of lapathum and other related ones), were described by Dioscorides and Pliny the Elder (first century AD), pointing out their medicinal properties and their use as a vegetable medicine. Some of these attributed properties are very similar to those registered in modern ethno-botanical works. The consumption like spinach of this wild vegetable in central Spain, especially in times of scarcity, is mentioned, together with other species, by Cienfuegos.

    Fiddle dock Image Gallery
    Branched-flower-stem-with-unopened-flowers-of-Fiddle-dock Branched-flower-stem-with-unopened-flowers-of-Fiddle-dock
    Closer-view-of-fruit-of-Fiddle-dock Closer-view-of-fruit-of-Fiddle-dock
    Fiddle-dock-Plant Fiddle-dock-Plant
    Flower-of-Fiddle-dock Flower-of-Fiddle-dock
    Fruits-of-Fiddle-dock Fruits-of-Fiddle-dock
    Leaf-of-Fiddle-dock Leaf-of-Fiddle-dock
    Plant-Illustration-of-Fiddle-dock Plant-Illustration-of-Fiddle-dock
    Seeds-of-Fiddle-dock Seeds-of-Fiddle-dock
    Sketch-of-Fiddle-dock Sketch-of-Fiddle-dock
    Stem-of-Fiddle-dock-plant Stem-of-Fiddle-dock-plant
    Whorls-of-female-flowers-of-Fiddle-dock Whorls-of-female-flowers-of-Fiddle-dock
    Small--Fiddle-dock-Plant-growing-wild Small--Fiddle-dock-Plant-growing-wild
    Traditional uses and benefits of Fiddle dock

    • Although this plant has been mainly used as a wild green, it has other minor uses in medicine and ethno-veterinary.
    • Leaves, both eaten as a vegetable or in infusion, and also the flowers and fruits, have been traditionally considered as digestive, anti-diarrheic, and anti-catarrhal in several Spanish regions.
    • As registered by Blanco, poultices made with the leaves were used against boils and infected grains, along with the leaves of the white henbane.
    • In ethno-veterinary it has been employed to treat urogenital myiasis and respiratory affections.

    Culinary Uses

    • Leaves can be consumed raw or cooked.
    • Leaves can be added to salads, they have an acid flavor.
    • It is a wild vegetable traditionally consumed in some Mediterranean countries, as recorded in Spain, France, Italy, Croatia, Greece, Turkey, Cyprus and Jordan.
    • Its tender basal leaves are collected mainly in springtime, although they can also be gathered during mild winters.
    • They are also prepared in wild vegetables mixtures at least in Greece, Italy, and Croatia, such as the Italian pistic (a vegetable dish from the region of Friuli elaborated with a mix of up to 54 wild vegetables), and the Croatian svakober, which translates as “pick all”, where the plants are boiled for 20–30 min, strained and sprinkled with olive oil, and served as a side dish.
    • These mixes are occasionally used as stuffing in vegetable pies.
    • In Cyprus these pies, which are called pittes, include up to 11 plants that are boiled or fried along with rice or pourgouri (like couscous) and spices.
    • This species has been also consumed in omelets, used for preparing a sauce to accompany meat, and more occasionally eaten raw in salads.

    Other facts

    • Although no specific mention has been made for this species, dark green to brown and dark grey dyes can be obtained from the roots of many species in this genus, they do not need a mordant.
    • Its leaves were also used as animal fodder.
    • In times of scarcity, its leaves are used as a tobacco substitute.

    Precautions

    • Plants can contain quite high levels of oxalic acid, perfectly alright in small quantities; the leaves should not be eaten in large amounts since the oxalic acid can lock-up other nutrients in the food, especially calcium, thus causing mineral deficiencies.
    • People with a tendency to rheumatism, arthritis, gout, kidney stones or hyperacidity should take especial caution if including this plant in their diet since it can aggravate their condition.
    • It is also considered a lightly toxic species, which can cause drastic hypotension when abusively used.

    References:

    https://www.itis.gov/servlet/SingleRpt/SingleRpt?search_topic=TSN&search_value=20942#null

    https://davesgarden.com/guides/pf/go/160122/

    http://www.hear.org/pier/species/rumex_pulcher.htm

    https://pfaf.org/User/Plant.aspx?LatinName=Rumex+pulcher

    https://www.cabi.org/ISC/search?q=Rumex%20pulcher

    http://www.floracatalana.net/rumex-pulcher-l

    https://plants.usda.gov/core/profile?symbol=RUPU3

    https://en.wikipedia.org/wiki/Rumex_pulcher

    http://www.theplantlist.org/tpl1.1/record/kew-2424875

    78%
    78%
    Awesome

    Comments

    comments

    F Herbs and Spices
    Share. Facebook Twitter Pinterest LinkedIn Tumblr Email
    Previous ArticleFacts about Elm Leaf Blackberry
    Next Article Forskolin for Fat Reduction, Testosterone Boosting, Muscle Building and More

    Related Posts

    Uses of Monkey Pitcher plant

    April 16, 2024

    Traditional uses and benefits of Wild Marigold

    March 21, 2024

    Traditional uses and benefits of Drooping fig

    March 12, 2024

    Comments are closed.




    Fiddle dock Facts

    Fiddle dock Quick Facts
    Name: Fiddle dock
    Scientific Name: Rumex pulcher
    Origin Eurasia and North Africa and it can be found elsewhere, including parts of North America, as an introduced species and a roadside weed
    Colors Brown
    Shapes Trigonous brown nut, covered by thick valves, reticulate and toothed, with up to 9 teeth almost spiny
    Calories 42 Kcal./cup
    Major nutrients Vitamin B9 (119.50%)
    Vitamin C (45.33%)
    Iron (18.75%)
    Total dietary Fiber (14.34%)
    Potassium (12.57%)
    Name Fiddle dock
    Scientific Name Rumex pulcher
    Native Eurasia and North Africa and it can be found elsewhere, including parts of North America, as an introduced species and a roadside weed
    Common Names Fiddle leaf Dock, Red Dock, Slender Dock, Fiddle, Fiddle dock
    Name in Other Languages Albanian: lëpjetë, lëpjetë e bukur
    Arabic:  Alhammida  (الْحَمِّيضَة)
    Bulgarian: Krasiva lapad  (красива лапад)
    Catalan: Llengua bovina, Llengua de bou, Mollerosa, Paradella, Paradella mollerosa, Romàs, Santes maries
    Croatian: Lijepa kiselica
    Danish:  Skræppe
    Dutch:  Fraaie zuring
    English:  Fiddle Dock, Fiddleleaf dock, red dock
    Finnish:  Soreahierakka
    French:  Oseille gracieuse, Patience élégante, Patience simunée, Patience violon, Rumex élégant, Rumex joli, Rumex violon, parelle violon, belle patience, patience élégante
    German:  Schöner Ampfer
    Greek:  Roúmex o polýchrous (Ρούμεξ ο πολύχρους)
    Hebrew: Chum’ah yafah   חֻמְעָה יָפָה
    Hungarian: Csinos lórom
    Italian:  Cavolaccio, Romice cavolaccio
    Japanese:  Hyoutangishigishi (ヒョウタンギシギシ)
    Norwehgian:  Prydhøymol, vakkerhøymol
    Occitan: Vióuloun
    Portuguese:  Labaça sinuada, coenha, labaça-sinuada
    Russian: Shchavel’ krasivyy (щавель красивый)
    Serbian: Lepi štavel  (лепи штавел), razastrta kiselica (разастрта киселица)
    Slovak: Sťavel pekný
    Slovene: Lepa kislica
    Spanish:  Acedera de hojas partidas, Romaza violin, aceda de culebra, mollerosa, partidas, romaza común, romaza Silvestre, Lampaza, Romaza, Vinagrera, lapazuela, lengua de buey, oreja de liebre
    Swedish:  Skönskräppa
    Turkish: Ekşilik
    Ukrainian: щавель красивий
    Plant Growth Habit Biennial or short-lived, much-branched perennial herb
    Growing Climates Pastures, waterways, wasteland, roadsides, railway yards and other habitats near settlements, roadsides, coastal pastures, commons and churchyards
    Soil More abundant on shallow, winter water logged, duplex, sandy soils
    Plant Size 1 m tall
    Root Multiple taproots like small dark brown carrots. Up to 200 mm long and 20 mm wide. Short, thick underground stem or crown is on top of the taproots
    Stem Erect, pithy or hollow, fluted, stiff, slender, 200-1000 mm tall. Hairless. Branched from the base and much branched along their length. Branches usually at right angles to the stem and almost horizontal
    Leaf Ovate-oblong, 3-16 cm long, fleshy, papillate or hairy on the veins below, slightly cordate at the base; lower leaves pandurate; upper leaves lanceolate; margin finely scalloped
    Flowering season September to December in WA.
    October to December in SA.
    Flower Bisexual in numerous many-flowered whorls, together forming a spreading branched inflorescence, 15-60 cm long, leafy at the base and naked below
    Fruit Shape & Size Trigonous brown nut, covered by thick valves, reticulate and toothed, with up to 9 teeth almost spiny
    Fruit Color Brown
    Seed Triangular pyramid nut, glossy, pale to dark brown, 1.5-4 mm long x 1 mm wide, widest below the middle
    Major Nutrients Vitamin B9 (Folate) 478 µg (119.50%)
    Vitamin C 40.8 mg (45.33%)
    Iron, Fe 1.5 mg (18.75%)
    Total dietary Fiber 5.45 g (14.34%)
    Potassium, K 591 mg (12.57%)
    Copper, Cu 0.11 mg (12.22%)
    Manganese, Mn 0.261 mg (11.35%)
    Magnesium, Mg 40.6 mg (9.67%)
    Sodium, Na 106 mg (7.07%)
    Calcium, Ca 62.6 mg (6.26%)

    Fiddle dock Scientific Classification

    Scientific Name: Rumex pulcher

    Rank Scientific Name & (Common Name)
    Kingdom Plantae (Plants)
    Subkingdom Tracheobionta (Vascular plants)
    Infrakingdom Streptophyta  (land plants)
    Superdivision Spermatophyta (Seed plants)
    Division Magnoliophyta (Flowering plants)
    Subdivision Spermatophytina  (spermatophytes, seed plants, phanérogames)
    Class Magnoliopsida (Dicotyledons)
    Subclass Caryophyllidae
    Superorder Caryophyllanae
    Order Polygonales
    Family Polygonaceae (Buckwheat family)
    Genus Rumex L. (dock)
    Species Rumex pulcher L. (fiddle dock)
    Synonyms
    • Lapathum bononiense Montandon
    • Lapathum divaricatum P.Renault
    • Lapathum pulchrum Moench
    • Lapathum sinuatum Lam
    • Lapathum violon Garsault
    • Rumex pulcher subsp. pulcher
    • Fresh leaves
    • Boiled leaves
    Nutritional value of Fresh tender leaves of Fiddle dock
    Serving Size: 100 g

    Calories 42 K cal. Calories from Fat 5.49 K cal.

    Proximity Amount % DV
    Water 86.4 g N/D
    Energy 42 Kcal N/D
    Protein 3 g 6.00%
    Total Fat (lipid) 0.61 g 1.74%
    Ash 1.7 g N/D
    Carbohydrate 3.28 g 2.52%
    Total dietary Fiber 5.45 g 14.34%

     
    Minerals Amount % DV
    Calcium, Ca 62.6 mg 6.26%
    Iron, Fe 1.5 mg 18.75%
    Magnesium, Mg 40.6 mg 9.67%
    Potassium, K 591 mg 12.57%
    Sodium, Na 106 mg 7.07%
    Zinc, Zn 0.563 mg 5.12%
    Copper, Cu 0.11 mg 12.22%
    Manganese, Mn 0.261 mg 11.35%


     
    Vitamins Amount % DV
    Water soluble Vitamins
    Vitamin B9 (Folate) 478 µg 119.50%
    Vitamin C  40.8 mg 45.33%
    Ascorbic acid 25.5 mg N/D
    Dehydroascorbic acid 15.9 mg N/D
    Fat soluble Vitamins
    Vitamin E (alpha-tocopherol) 0.44 mg 2.93%
    Tocopherol, beta 0.03 mg N/D
    Tocopherol, gamma 0.07 mg N/D

     

     
    Organic acids Amount % DV
    Oxalic acid 523 mg N/D
    Malic acid 17.5 mg N/D
    Citric acid 79.5 mg N/D
    Fumaric acid 50 mg N/D
    Phenolics (total) 73.4 mg N/D
    Flavonoids 26.1 mg N/D

     
    Lipids Amount % DV
    Fatty acids, total saturated 14.1 g N/D
    Lauric acid (dodecanoic acid) 12:00 0.23 g N/D
    Myristic acid  14:00(Tetradecanoic acid) 0.39 g N/D
    Palmitic acid 16:00 (Hexadecanoic acid) 9.3 g N/D
    Stearic acid 18:00 (Octadecanoic acid) 1.73 g N/D
    Arachidic acid 20:00 (Eicosanoic acid) 0.44 g N/D
    Behenic acid (docosanoic acid) 22:00 0.91 g N/D
    Lignoceric acid (tetracosanoic acid) 24:00 0.9 g N/D
    Fatty acids, total monounsaturated 4.8 g N/D
    Palmitoleic acid 16:1 (hexadecenoic acid) 0.21 g N/D
    Oleic acid 18:1 (octadecenoic acid) 4.22 g N/D
    Gadoleic acid 20:1 (eicosenoic acid) 0.14 g N/D
    Nervonic acid (Tetracosenoic acid) 24:1 c 0.06 g N/D
    Fatty acids, total polyunsaturated 81.1 g N/D
    Linoleic acid 18:2 (octadecadienoic acid) 17 g N/D
    Linolenic acid 18:3 (Octadecatrienoic acid) 62.9 g N/D
    Omega-3 fatty acids (n-3) 63.9 g N/D
    Omega-6 fatty acids (n-6) 17.3 g N/D
    Omega-9 fatty acids (n-9) 4.5 g N/D

    *Above mentioned Percent Daily Values (%DVs) are based on 2,000 calorie diet intake. Daily values (DVs) may be different depending upon your daily calorie needs. Mentioned values are recommended by a U.S. Department of Agriculture. They are not healthbenefitstimes.com recommendations. Calculations are based on average age of 19 to 50 years and weighs 194 lbs.

    Source:
    https://www.springer.com/

    Nutritional value of Boiled tender leaves of Fiddle dock
    Serving Size: 100 g

    Calories 18 K cal. Calories from Fat 0.27 K cal.

    Proximity Amount % DV
    Water 90.9 g N/D
    Energy 18 Kcal N/D
    Protein 0.3 g 0.60%
    Total Fat (lipid) 0.03 g 0.09%
    Ash 0.8 g N/D
    Carbohydrate 2 g 1.54%
    Total dietary Fiber 4.4 g 11.58%

     
    Minerals Amount % DV
    Calcium, Ca 107 mg 10.70%
    Iron, Fe 1.1 mg 13.75%
    Magnesium, Mg 26.9 mg 6.40%
    Potassium, K 206 mg 4.38%
    Sodium, Na 29.1 mg 1.94%
    Zinc, Zn 0.18 mg 1.64%
    Copper, Cu 0.08 mg 8.89%
    Manganese, Mn 0.2 mg 8.70%


     
    Vitamins Amount % DV
    Water soluble Vitamins
    Vitamin B9 (Folate) 191 µg 47.75%
    Vitamin C  21.6 mg 24.00%
    Ascorbic acid 20.4 mg N/D
    Dehydroascorbic acid 1.25 mg N/D

     

     
    Organic acids Amount % DV
    Oxalic acid 290 mg N/D
    Citric acid 30 mg N/D

     

    *Above mentioned Percent Daily Values (%DVs) are based on 2,000 calorie diet intake. Daily values (DVs) may be different depending upon your daily calorie needs. Mentioned values are recommended by a U.S. Department of Agriculture. They are not healthbenefitstimes.com recommendations. Calculations are based on average age of 19 to 50 years and weighs 194 lbs.

    Source:
    https://www.springer.com/

    WordPress Tabs
    Categories
    • Beverages (78)
    • Dairy (28)
    • Dental Health (15)
    • Equipment (5)
    • Essential OIls (196)
    • Facts (2,939)
    • Foods (255)
    • Fruits (516)
    • Giveaway (1)
    • Grains and Cereals (36)
    • Health & Beauty (763)
    • Herbs and Spices (1,249)
    • Medicines (9)
    • Mental Health (19)
    • Nutritional value (27)
    • Nuts and seeds (73)
    • Oils (81)
    • Pets (4)
    • Poultry & Seafoods (67)
    • Pulses and Beans (16)
    • Reviews (25)
    • supplement (2)
    • Vegetables (304)
    • Weight Loss (22)

    What is Lupin Bean Flour?

    Science Backed Health Benefits of Durian (Durio zibethinus)

    Science Backed Health Benefits of Feijoa (Pineapple Guava) (Acca sellowiana)

    Science Backed Health Benefits of Gac Fruit (Momordica cochinchinensis)

    Science Backed Health Benefits of Amaranth Leaves (Amaranthus spp)

    Science Backed Health Benefits of Arrowhead (Sagittaria sagittifolia)

    ABOUT
    Home
    About us
    Contact us
    Privacy Policy
    Terms & conditions
    Disclaimer
    Direct Communication
    e-mail: [email protected]
    Gmail: [email protected]
    Whatsapp: +977-9841146511
    Viber: +977-9841146511
    Useful
    Health Wiki
    Nutrition
    Facebook Twitter Pinterest
    © 2025 www.healthbenefitstimes.com All rights reserved.

    Type above and press Enter to search. Press Esc to cancel.

    ×

    Log In

    Forgot Password?

    Not registered yet? Create an Account