| Lemonade Berry Quick Facts | |
|---|---|
| Name: | Lemonade Berry |
| Scientific Name: | Rhus integrifolia |
| Origin | Southwestern and Pacific coastal California, from Santa Barbara County and the Channel Islands to western San Diego County |
| Colors | Start out a pink-white color and ripen to red-orange |
| Shapes | Showy drupes that are small, sticky, flattened, fleshy with a large seed or two. They are about seven to ten millimeters in diameter |
| Taste | Sharp, tart taste |
| Health benefits | Good for cold sores, sore throats, fever, cough, cure lung infections, arthritis and rheumatism |
| Name | Lemonade Berry |
|---|---|
| Scientific Name | Rhus integrifolia |
| Native | Transverse and Peninsular Ranges, southwestern and Pacific coastal California, from Santa Barbara County and the Channel Islands to western San Diego County, with its range extending to north-central Pacific coastal Baja California and some offshore islands like Cedros Island |
| Common Names | Lemonade berry, Lemonade sumac, Sourberry, Coast Sumac |
| Name in Other Languages | Afrikaans: Limonade bessie Albanian: Kokrra të kuqe limoni Amharic: Yelomī ch’imak’ī (የሎሚ ጭማቂ) Arabic: Altawatu esyr allaymun (التوت عصير الليمون) Armenian: Limonad hataptugh (լիմոնադ հատապտուղ) Azerbaijani: Limonad giləmeyvə Bengali: Lēbu pānitē bēri (লেবু পানিতে বেরি) Bulgarian: Limonada Beri (лимонада Бери) Burmese: Sanpurar berry see (သံပုရာ berry သီး) Chinese: Níngméng shuǐ jiāngguǒ (柠檬水浆果) Croatian: Bobica limunade Czech: Limonáda bobule Danish: Limonadebær Dutch: Limonade bes English: Lemonade berry, Lemonade sumac, Sour berry, Coast Sumac Esperanto: Bero de limonado Estonian: Limonaadimarja Filipino: Lemon berry Finnish: Limonadi marja French: Baie de limonade Georgian: Limonatis k’enk’ra (ლიმონათის კენკრა) German: Limonadenbeere Greek: Moúro lemonádas (μούρο λεμονάδας) Gujarati: Līmbunuṁ phaḷa bērī (લીંબુનું ફળ બેરી) Hausa: Lemun tsami lemonade Hebrew: ברי לימונדה Hindi: Neemboo paanee beree (नींबू पानी बेरी) Hungarian: Limonádé bogyó Icelandic: Sítrónuber Indonesian: Beri lemonade Irish: Caora líomanáid Italian: Bacche di limonata Japanese: Remonēdoberī (レモネードベリー) Javanese: Semono uga Sindhunata linglang Kannada: Nimbe pānaka berry (ನಿಂಬೆ ಪಾನಕ ಬೆರ್ರಿ) Kazakh: Lïmonad jïdek (лимонад жидек) Korean: Lemoneideu beli (레모네이드 베리) Kurdish: Berfê lemonade Lao: Mak mineu (ໝາກ ມີເນື້ອ) Latin: Lemonade baca Latvian: Limonādes oga Lithuanian: Limonado uoga Macedonian: Beri od limonada (Бери од лимонада) Malagasy: Voasarimakirana Malay: Beri limau Malayalam: Ceṟunāraṅṅa beṟi (ചെറുനാരങ്ങ ബെറി) Maltese: Berry tal-luminata Marathi: Limbācē pāṇī bērī (लिंबाचे पाणी बेरी) Mongolian: Nimbegnii jims (нимбэгний жимс) Nepali: Neemboo paanee beree (नींबू पानी बेरी) Norwegian: Limonadebær Oriya: ଲେମ୍ବୁ ବିରି | Pashto: لیموونی Persian: توت لیموناد Polish: Jagoda lemoniady Portuguese: Baga de limonada Punjabi: Nibū pāṇī bērī (ਨਿੰਬੂ ਪਾਣੀ ਬੇਰੀ) Romanian: Boabe de limonadă Russian: Limonadnaya yagoda (лимонадная ягода) Serbian: Limunada bobica (лимунада бобица) Sindhi: ليميونڊ Sinhala: Lemanēḍ berī (ලෙමනේඩ් බෙරී) Slovenian: Limonada jagod Spanish: Baya de limonada Sudanese: Berry limun Swedish: Limonadbär Tajik: Berri limonad (Берри лимонад) Tamil: Elumiccaip paḻam (எலுமிச்சைப் பழம்) Telugu: Nim marasaṁ berrī (నిమ్మరసం బెర్రీ) Thai: N̂ả manāw bexr̒ rī̀ (น้ำมะนาวเบอร์รี่) Turkish: Limonata meyvesi Ukrainian: Yahid lymonadu (ягід лимонаду) Urdu: لیمونیڈ Uzbek: Limonad berry Vietnamese: Nước chanh berry Welsh: Aeron lemonêd Zulu: I-lemonade berry |
| Plant Growth Habit | Rounded, aromatic, evergreen shrub or small tree |
| Growing Climates | Coastal sage scrub, chaparral, ocean bluffs, canyons and dry places, sandy sterile soil |
| Soil | Thrives on well-drained soils and endures heat and windy conditions well. The species tolerates sandy as well as medium loam soils, and it can even thrive in nutrient deficient soil. This plant tolerates mildly acid to mildly alkaline soils, and is common on north and east-facing slopes with where shady, moist conditions are prevalent |
| Plant Size | 6 to 10 feet in height, sometimes taller and near the coast shorter and spreads between 10 to 15 feet wide |
| Bark | Young plants manifest smooth reddish bark, while more mature individuals have cracked, even scaly, grayish bark with the smooth red bark displayed underneath |
| Twigs | Twigs are rather stout and flexible, and reddish bud ends are diminutive and pointed. |
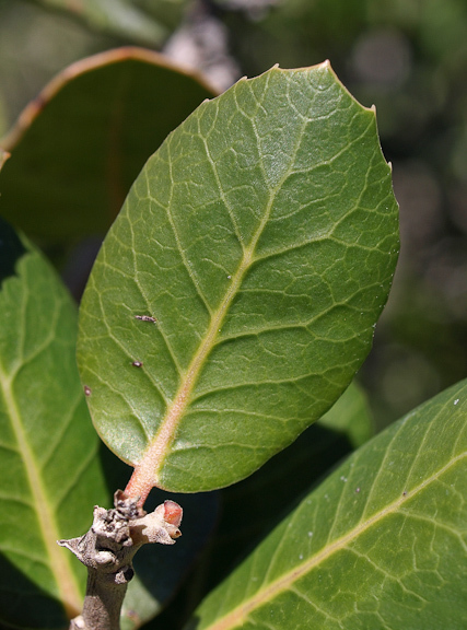
| Leaf | Simple, evergreen and found in an alternating pattern. They are elliptic or oval in shape and are 5-7 cm long and 2-4 cm wide on reddish twigs. Mature leaves are dark green, younger leaves are brighter, while the newest leaves and young stems may have a reddish tinge |
| Flowering season | February to May |
| Flower | Showy and fragrant flowers that range in color from pink to white. The flowers are clustered at the ends of branches, with literally thousands of flowers on a mature shrub to create beautiful formations |
| Fruit Shape & Size | Showy drupes that are small, sticky, flattened, fleshy with a large seed or two. They are about seven to ten millimeters in diameter |
| Fruit Color | Start out a pink-white color and ripen to red-orange |
| Flavor | Tart flavor |
| Propagation | By seed or by rhizome |
| Taste | Sharp, tart taste |
| Season | End of August through the end of October |
Plant Description
Lemonade Berry is a rounded, aromatic, evergreen shrub or small tree that normally grows about 6 to 10 feet tall, sometimes taller and near the coast shorter and spreads between 10 to 15 feet wide. The plant is found growing in coastal sage scrub, chaparral, ocean bluffs, canyons, dry places and sandy sterile soil. The plant thrives on well-drained soils and tolerates heat and windy conditions well. The species endures sandy as well as medium loam soils, and it can even thrive in nutrient deficient soil. This plant tolerates mildly acid to mildly alkaline soils, and is common on north and east-facing slopes with where shady, moist conditions are prevalent.
The plant has stout, short trunk and many small, spreading branches. Young plants manifest smooth reddish bark, while more mature individuals have cracked, even scaly, grayish bark with the smooth red bark displayed underneath. Twigs are rather stout and flexible, and reddish bud ends are diminutive and pointed. There is often a multi-furcate branching structure from the base of the plant. A mature plant is large and thicket-like with a sprawling arrangement.
Leaves
Leaves of Rhus integrifolia are simple, evergreen and found in an alternating pattern. They are elliptic or oval in shape and are 5-7 cm long and 2-4 cm wide on reddish twigs. Mature leaves are dark green, younger leaves are brighter, while the newest leaves and young stems may have a reddish tinge. The leaves may have pinkish margins or midribs (the main vein of the leaf) and new leaves/branches are a shockingly bright pink or orange. The texture of the leaves is leathery to the touch and somewhat waxy in appearance. Leaves can vary from flat to slightly rolled in shape and often have small sharp tooth around their margins. Leaves are waxy, smooth shiny green above and a paler tone below.
Flower
Lemonade berry produces showy and fragrant flowers that range in color from pink to white. The flowers are clustered at the ends of branches, with literally thousands of flowers on a mature shrub to create beautiful formations. This species flowers towards the end of winter and through spring (February – May). The plant has five green sepals, five white to rosy-pink petals, and five stamens. The small flowers are only six millimeters across. The ovary is superior and usually has a single ovule; although in pistillate flowers, the stamens are small and infertile. The flowers remind some of the non-native Indian Hawthorn, a common garden shrub in S. California. In fact, Lemonade berry is a good native substitute for Indian Hawthorn.
The flowers have a lightly sweet fragrance and are an importance source of nectar and pollen for winter-flying bees, their principal pollinators. Individual plants may contain only male or only female flowers (dioecious) or a combination of bisexual (complete) and unisexual flowers. This arrangement likely allows the species to maximize fertility in different environments. The male and bisexual flowers have conspicuous anthers with yellow pollen (above). Plants are not self-fertile, so you’ll need at least two for good fruit production.
Fruit
Fertile flower are followed by showy drupes that are small, sticky, flattened, fleshy with a large seed or two. They are about seven to ten millimeters in diameter. The fruits start out a pink-white color and ripen to red-orange in late spring or summer. The fruiting season follows the flowering season and occurs in spring and summer. The elliptical fruit presents tight clusters at the very ends of twigs. Fruits are coated with a gray, viscous material that disappears as the season progresses. The coating is very sour with a flavor similar to lemon. Native Californians sometimes eat the fruits fresh, many of us prefer to soak the pink fruits in warm or cool water to extract the lemony flavor. The ‘flavored water’ that results (after the fruits are strained out) can be sweetened to produce a lemonade-like beverage.
Health Benefits of Lemonade Berry
Listed below are some of the popular health benefits of using lemonade berry
1. Reduce Fever
Lemonade Berry has been known to reduce issues such as fever and is known to be effective in treating issues such as cough as well.
2. Have anti-fungal properties
Lemonade Berry has been known to consist of anti-fungal actions on human pathogens. It is known to be effective in treating numerous types of lung infections. In some cases it has also been found to have anti-microbial effects.
3. Have anti-inflammatory properties
Lemonade Berry has been known to act as a powerful anti-inflammatory agent. When applied externally they are known to cure pain related to arthritis and rheumatism.
4. Helps in Detoxification
Lemonade berries have also been known to be effective in purifying the blood. They have been known to remove any toxins from the body and are also known to have cooling effect on nerves.
Traditional uses and benefits of Lemonade Berry
- The bark of this tree is used in a tea after childbirth.
- The Mahuna people ate the lemonade berries to quench their thirst.
- Herbalists create a tincture to treat cold sores and sore throats.
- An ancient remedy for sore throats and cold sores is made from Lemonade berries, bark or leaves steeped in cold water.
Culinary Uses
- Fruit can be consumed raw or cooked.
- Fruit is covered with a pleasant acid-tasting exudation that can be sucked.
- When soaked for 10 – 30 minutes in hot or cold water it makes a very refreshing lemonade-like drink (without any fizz).
- The mixture should not be boiled since this will release tannic acids and make the drink astringent.
- The leaves have been chewed to assuage thirst.
- The roasted fruit is a coffee substitute.
- The Kumeyaay use these tangy berries to flavor their tea.
- They can also be ground into a powder and used as a flavoring, a flour substitute, or a thickener for soups.
- Lemonade berry-flavored water can also be used to make a distinctive jelly, dessert gelatin or syrup.
- In the Middle East, red Rhus fruits are dried and ground into a spice that’s used on salads, meats or kebabs for a spicy lemon flavor.
- Berries can be dried and used whole in salads, yogurts and hummus.
Other facts
- The leaves are rich in tannin.
- Oil is extracted from the seeds.
- It attains a tallow-like consistency on standing and is used to make candles.
- These burn brilliantly, though they emit a pungent smoke.
- Wood is hard, heavy and is valued and largely used as a fuel.
- The berries are a significant food source for birds and small mammals.
- Fallen leaves may be used as a brown dye or mordant.
- The leaves are thick and waxy, which reduces transpiration, allowing it to remain green during our long dry summers.
- The lemonade berry has a rapid growth rate ranging from one to three feet per year.
Precautions
- There are few recommendations that the sap of this species can cause a skin rash in susceptible people, but this has not been validated.
- Allergic reactions may also result from skin contact with sap from some of the genera.
- Lemonade berries are not typically consumed whole, as the small hairs on their surface can cause irritation to the stomach.
References:
https://www.itis.gov/servlet/SingleRpt/SingleRpt?search_topic=TSN&search_value=28783#null
https://pfaf.org/user/Plant.aspx?LatinName=Rhus+integrifolia
https://gd.eppo.int/taxon/RHUIN
https://powo.science.kew.org/taxon/urn:lsid:ipni.org:names:30247297-2
https://www.inaturalist.org/guide_taxa/45172
https://calscape.org/Rhus-integrifolia-(Lemonade-Sumac)
https://en.wikipedia.org/wiki/Rhus_integrifolia
https://plants.usda.gov/home/plantProfile?symbol=RHIN2
