| Haskap Berry Quick Facts | |
|---|---|
| Name: | Haskap Berry |
| Scientific Name: | Lonicera caerulea |
| Origin | Throughout the cool temperate Northern Hemisphere in countries such as Canada, Japan, Russia, and Poland |
| Colors | Dark navy blue to purple-color |
| Shapes | Edible berry, somewhat rectangular in shape weighing 1.3 to 2.2 grams (0.046 to 0.078 oz), and about 1 cm (0.39 in) in diameter. |
| Flesh colors | Rich maroon color |
| Taste | Distinctive blend of tangy and sweet |
| Health benefits | Tame inflammations, Good for eyes, Cancer treatment, Cardiovascular benefits, Lower blood pressure, Improve brain function, Possesses anti-diabetic effect, Urinary tract infections, Bursting with Antioxidants, Improve Hydration & Many Serious Health Conditions |
| Name | Haskap Berry |
|---|---|
| Scientific Name | Lonicera caerulea |
| Native | Throughout the cool temperate Northern Hemisphere in countries such as Canada, Japan, Russia, and Poland |
| Common Names | Sweet berry honeysuckle, Blue fly honeysuckle, Haskap berry, Hascup, Hasukappu, honeyberry, haskap berry, blue-berried honeysuckle, sweet berry honeysuckle, Edible Honeysuckle, Blue Honeysuckle, Swamp Fly Honeysuckle |
| Name in Other Languages | Albanian: Dorëzonjë, lavardhë Arabic: Easalat zarqa’ (عسلة زرقاء) Armenian: Ts’akhakerras uteli (Ցախակեռաս ուտելի) Belarusian: Bružmieĺ sini (Бружмель сіні) Bulgarian: Gŭlŭbov nokŭt (гълъбов нокът) Chinese : Lán guǒ rěn dōng (蓝果忍冬), Lándiàn guǒ rending (蓝靛果忍冬), Lándiàn guǒ (藍靛果) Croatian: Modra kozja krv, Plava kozokrvina Czech: Zimolez modrý Danish: Blåfrugtet Gedeblad English: Blue-berried honeysuckle, Blue honeysuckle, Fly honeysuckle, Honeyberry, Swamp fly honeysuckle, Sweet-berried honeysuckle, Sweet berry honeysuckle, Haskap, Hasukappu, Hascap, Hascup, Blue fly-honeysuckle, Western honeysuckle, edible honeysuckle, deepblue honeysuckle Estonian: Sinine kuslapuu Finnish: Sinikuusama French: Camérise, Camérisier bleu, Chèvrefeuille à fruits bleus, Chèvrefeuille bleu, lonicéra bleu German: Blaue Heckenkirsche, blaue Doppelbeere, blaues geißblatt Hebrew: יערה כחולה Hungarian: Kék mézbogyó Icelandic: Blátoppur Italian: Caprifoglio turchino, ciliegia alpina cerulean, madreselva turchina Japanese: Keyonomi (ケヨノミ), Hasukappu (ハスカップ) Korean: Daengdaeng-inamu (댕댕이나무) Latvian: Pallasa sausserdis Lithuanian: Melsvauogis sausmedis Northern Sami: Čuolbmamuorra Norwegian: Blåleddved Polish: Suchodrzew siny, wiciokrzew siny, Jagoda Kamczacka, Russian: Dikaya golubaya zhimolost (Дикая голубая жимолость) Zhimolost’ golubaia (Жимолость голубая), zhimolost Pallasa ((жимолость Палласа), zhimolost’ sinyaya (жимолость синяя) Slovak: Zemolez kamčatský Slovene: Modro kosteničevje Spanish: Madreselva Azul, Modro kosteničevje Swedish: Bägarkrokus, Grekisk krokus, Toscanakrokus, Blåtry, Sinikuusama, Rysk blåtry, Vanlig blåtry, Ukrainian: Zhymolostʹ holuba (жимолость голуба), Zhymolostʹ blakytna (Жимолость блакитна) Upper Sorbian: Módry kozylist |
| Plant Growth Habit | Fast-growing, non-climbing, multi-branched deciduous shrub |
| Growing Climates | Found in or near wetlands of boreal forests in heavy peat soils. However, it also can be found in high-calcium soils, in mountains, and along the coasts |
| Soil | Tolerant of most soils. Well-drained, organic matter rich soil is ideal. Semi-toleratant of wet soil conditions, but not clay |
| Plant Size | 1.5–2 m (4 ft 11 in – 6 ft 7 in) tall |
| Leaf | Opposite, oval, 3–8 cm (1.2–3.1 in) long and 1–3 cm (0.39–1.18 in) broad, greyish green, with a slightly waxy texture |
| Flowering season | April to May |
| Flower | Flowers are yellowish-white, 12–16 mm long, with five equal lobes; they are produced in pairs on the shoots |
| Fruit Shape & Size | Edible, blue berry, somewhat rectangular in shape weighing 1.3 to 2.2 grams (0.046 to 0.078 oz), and about 1 cm (0.39 in) in diameter |
| Fruit Color | Dark navy blue to purple-color |
| Fruit Skin | Waxy, delicate |
| Flesh Color | Rich maroon color |
| Taste | Distinctive blend of tangy and sweet |
| Varieties |
|
| Season | June – July |
| Health Benefits |
|
| Culinary Uses |
|
| Other Facts |
|
Plant Description
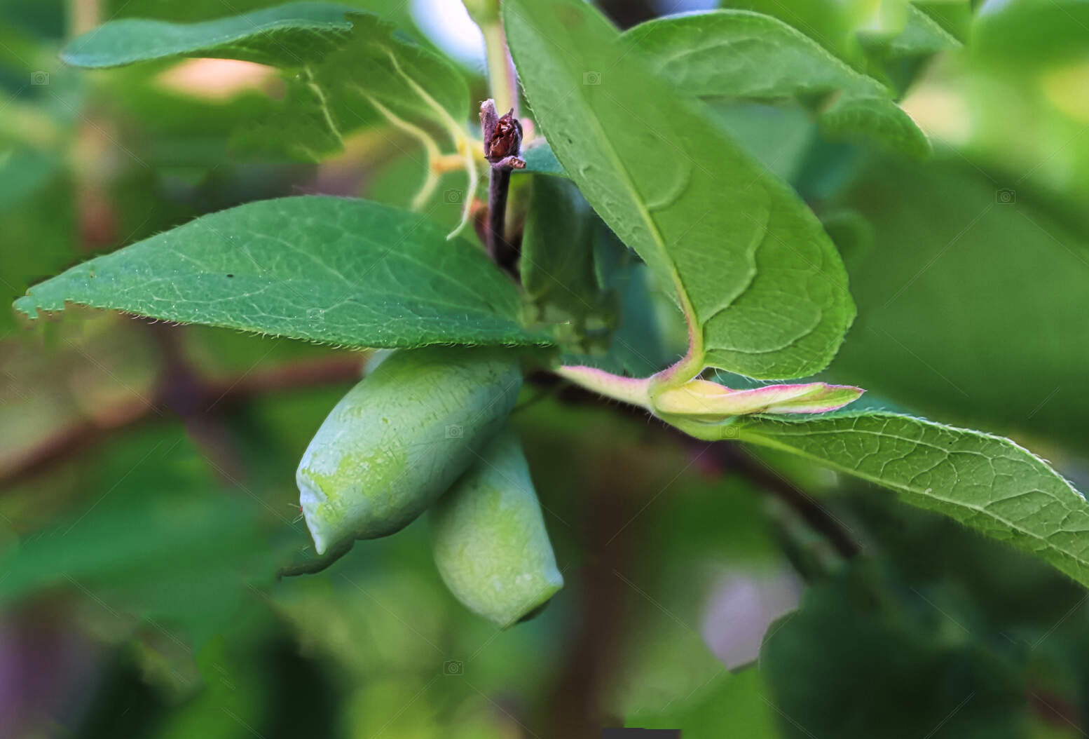
Haskap Berry is a fast-growing, non-climbing, circumpolar, multi-branched deciduous shrub that normally grows about 1.5–2 m (4 ft. 11 in – 6 ft. 7 in) tall. The plant is found growing in or near wetlands of boreal forests in heavy peat soils. However, it also can be found in high-calcium soils, in mountains, and along the coasts. The plant is tolerant of most soils. Well-drained, organic matter rich soil is also ideal. It is semi-tolerant of wet soil conditions, but not clay. This shrub in general is unlike many of its honeysuckle relatives in that it produces an edible, tasty, blueberry-like fruit.
Leaves
The leaves are opposite, elliptic to ovate, 3–8 cm (1.2–3.1 in) long and 1–3 cm (0.39–1.18 in) broad, greyish green, with a slightly waxy texture.
Flower
The flowers are pale yellowish-white, 12–16 mm long, with five equal lobes; they are produced in pairs on the shoots. Flowers start to bloom in late spring to early summer (April-June).
Fruits
Fertile flowers are followed by an edible, deep blue berry with reddish-purple insides. They are somewhat oval-teardrop to almost-globose shape weighing 1.3 to 2.2 grams (0.046 to 0.078 oz.), and about 1 cm (0.39 in) in diameter. Their deep blue skin and crimson flesh give haskap 3 times the antioxidants and 4 times the anthocyanins of blueberries.
History
Haskap Berry originates from Western Europe, Siberia and Northern Asia and has been used in traditional medicine in Japan, Russia and China. It is thought to originate from the frozen wilderness of Sibera and carried by birds to the northern Japanese island of Hokkaido. The indigenous people of the island named the berry haskap, meaning ‘many fruits on branches’.
Recommended Varieties
1. Tundra
It is about 4 to 5 feet tall and has firm skinned fruit that are fairly large. The plant is resistant to powdery mildew and is often used in commercial production because the berries have a dry picking scar and are quite firm.
2. Borealis
It is 4 feet tall and is touted to be one of the best tasting cultivars. It produces large fruit and is well-suited for the home garden.
3. Indigo Gem
The plant is 5 to 6 feet tall and produces fruit that is smaller and tangier than most other cultivars, and is a very heavy producer. Unfortunately, it is somewhat susceptible to powdery mildew.
4. Blue Lightning
The plant is 5 feet tall and is a popular Russian cultivar and produces a heavy crop of sweet-tart dark blue berries.
5. Kamchatka
It is 5-6 feet tall and is another Russian cultivar and produces large, abundant dark blue fruit.
Health benefits of Haskap Berry
Anthocyanins are naturally occurring plant pigments that give fruit and vegetables their deep purple, blue and red colors. Haskap berries have one of the highest recorded anthocyanin values of any berry. Anthocyanins are associated with antioxidant, anti-inflammatory, neuro-protective and cardio-protective properties. It is these properties that are associated with their health-promoting benefits. Listed below are some of the popular health benefits of using Haskap Berries
1. Tame inflammations
Inflammation is the primary cause for chronic diseases, and these berries are known for their protection against chronic diseases. Haskap is rich in polyphenols that have the ability to act as an excellent inflammation determent. Apart from that it also consists of anthocyanin that has anti-inflammatory properties and might help prevent or fight against gingivitis and rheumatoid arthritis.
2. Good for eyes
As we all know that Haskap Berries consists of good amount of anthocyanin, it may help keep your eyes healthy. Anthocyanin is confirmed to be beneficial for good eyesight. This also helps to increase circulation within the retinal capillaries, enhancing the night vision. It also helps fight macular degeneration and prevents retinopathy in diabetic patients.
3. Cancer treatment
Oxidative DNA damage is said to occur thousands of times per day and in every single cell in the body. It is the part of the reason we grow older and plays an important role in the development of cancer cells. Research proved that those who consumed haskap on a daily basis reduced their free radical content in the body by 25 percent.
4. Cardiovascular benefits
This anthocyanin-rich fruit may help you keep your veins healthy by nullifying the enzymes that destroy connective tissue, by repairing the damaged proteins in the blood-vessel walls. It helps in promoting healthy circulation of blood through your heart. The oxidation of LDL is a crucial step in the heart disease process. The antioxidants in haskap berries are strongly linked to reducing the levels of oxidized LDL. Research has shown that consuming 75 grams of haskap berries with the main meal greatly reduced the oxidation of LDL lipoproteins. It consists of additional chloro-genic acid and phytochemicals that may provide a healthy cardiovascular benefit by controlling blood pressure.
5. Lower blood pressure
High blood pressure is one of the main reasons for several diseases. And apparently, haskap berries appear to have significant benefits for people with high blood pressure. Research conducted with obese people noted 6-7 percent reduction in blood pressure after consuming 50 grams of haskap berries for eight weeks.
6. Improve brain function
Oxidative stress results in brain’s ageing process and can have a negative effect on brain function. Anti-oxidants present in haskap berries tend to encourage in the areas of the brain that are important for intelligence. These anti-oxidants directly interact with the ageing neurons which leads to improvements in the cell functioning.
7. Possesses anti-diabetic effect
Several researches have shown that honeyberries have anti-diabetic effects. The bioactive compounds in honeyberry cancel out any negative impact on the sugar that leads to maintaining the blood sugar level. Anthocyanins present in haskap berries have beneficial effects on the insulin and glucose sensitivity. Consuming haskap berry smoothie can cause major improvements in the insulin sensitivity and lowers the blood sugar level.
8. Urinary tract infections
Like blueberries, haskap berries consists of substances that can help prevent the bacteria binding on the wall of the urinary bladder. These infections are a very common problem in women and haskap berries may be useful in preventing such type of infections.
9. Bursting with Antioxidants
Haskap berries have as much as three times the amount of antioxidants as a blueberry, making it a nutrient-packed super food. Antioxidants combat free radicals, in our body by binding to them and removing their hydrogen bond. Once this hydrogen bond is removed, these bad cells have the potential to become free radicals themselves, which creates an alkaline or balanced environment in which chronic diseases cannot thrive in.
10. Improve Hydration & Many Serious Health Conditions
They are believed to be beneficial in treating chronic conditions such as cancer, heart disease, stroke, Alzheimer’s disease, Rheumatoid arthritis, and cataracts. Antioxidants are crucial to digestive health as they promote a healthy immune system as well as the growth of good bacteria.
Haskap berries are also high in potassium, which is needed to build protein and muscle, metabolize carbohydrates, and maintain normal body growth. Potassium, along with the help of sodium, helps to balance fluid and electrolyte levels in the body, which is important for hydration.
Traditional uses and benefits of Haskap Berries
- Over centuries in East Asian countries, Haskap Berry has been used for supposed therapeutic applications in traditional medicine.
- Dried bud of this plant has been used for thousands of years for its antipyretic, antidote, and anti-inflammatory properties in Chinese medicine.
- Haskap berries were used as an agent enhancing capillaries in cardiovascular diseases, as well as other disorders of the stomach, liver, gallbladder.
- They enhance excretion of radioactive substances.
- Haskap berry juice cures mycosis and ulcers.
- Clear soup of flowers and leaves is good for eye, throat, and skin diseases.
- In Tibetan medicine, a clear soup from its bark was prescribed as a remedy for headaches, rheumatism, arthritis, and acute stomach pains.
- Water extract from its flowers are used as a compress and is used for treating eye diseases.
- Crumpled leaves are used in wound treatment for their antiseptic properties.
- Dried young shoots, collected during blooming, are used to prepare an extract that is both a diuretic and an anti-hair loss agent.
- It is believed that haskap has been used in folk medicine to reduce the risk of hypertension, glaucoma, heart attack, anemia, malaria, osteoporosis, and gastrointestinal disease.
- The infusions prepared from berries and other plant parts have also been used in the countries of the haskap origin as diuretic remedies, antiseptic agent and treatment of throat and eyes.
Recipes
Haskap Crisp
Ingredients
- 1 cup flour
- 1 cup rolled oats
- 1 cup brown sugar
- 1 tsp. cinnamon
- 1/2 cup of butter
- Four cups of Haskap Berries
Directions
- To prepare your crumb mixture, mix together flour, rolled oats, brown sugar and cinnamon. Set aside.
- Prepare 4 cups of Haskap berries.
- Mix 1/4 of the crumb mixture with the Haskap berries.
- Spread the combined Haskap Berry and crumb mixture into a buttered 9″ pan.
- Cover with the remaining crumbs, and pat down.
- Bake at 350 degrees for 30minutes.
- Serve hot or cold.
Super Haskap Lemon Muffins
Ingredients
- 2 cups of flour
- 1/2 cup sugar
- 2 tsps. baking powder
- 1/2 tsp. salt
- Rind of one lemon, zested
- 1 egg
- 1 cup milk
- 1/2 cup butter, melted
- 1 cup fresh or frozen Haskap berries
Directions
- Mix together your flour, sugar, baking powder, salt and lemon rind in a large bowl.
- In a separate bowl, beat the egg
- Add milk and butter to the egg, mixing together
- Add wet ingredients to the dry ingredients
- Stir until lumpy.
- Add Haskap berries to batter
- Bake at 425 degrees for 20 minutes, or until golden brown.
Haskap Cheesecake
Ingredients
- 1 3/4 cups Graham crumbs
- 1/4 cup Melted butter
- 3 cups Haskap berries
- 1 cup Sugar divided
- 3 Tbsp. Cornstarch
- 3 Tbsp. Water
- 2 pkgs. Cream cheese
- 1 tsp. Vanilla
- 1 cup Whipping cream
Step 1: Make the Base
Combine 1 3/4 cup graham crumbs and 1/4 cup melted butter in a medium mixing bowl. Using a fork, mix the butter with the graham crumbs until the crumbs are fully coated. Press the mixture into a springform pan and bake at 350 degrees for 8-10 minutes. If you do not have a springform pan, line your pan with parchment paper or lightly grease.
Step 2: Haskap Topping
In a medium sauce pan, add 2 cups of water, 3 cups of haskap berries, and 1/2 cup sugar. Stir frequently on med/high heat. Bring to a boil. Reduce heat to medium. Mix 3tbsp of cornstarch with 3tbsp of water until smooth. Add cornstarch and water to the berries. Stir until the mixture thickens. Remove from heat and let topping cool completely. I cool mine in the fridge. The mixture will thicken more as it cools.
Step 3: Cream Cheese Filling
Beat 2 pkgs of cream cheese until smooth. Slowly add 1/2 cup sugar and 1 tsp. of vanilla. Beat mixture until well blended. In a separate bowl whip the cream until it forms soft peaks and then slowly add it to the cream cheese mixture.
Step 4: Putting it all Together
Smooth the cream cheese mixture over the cooled crust. Pour the chilled haskap berry mixture evenly over the top. Place in the fridge overnight.
Step 5: Serve
Gather the family together and enjoy this new variant on an old favorite. Nana’s haskap cheesecake will leave you searching for more ways to enjoy haskap.
References:
https://www.itis.gov/servlet/SingleRpt/SingleRpt?search_topic=TSN&search_value=503543#null
https://npgsweb.ars-grin.gov/gringlobal/taxon/taxonomydetail?id=22560
https://pfaf.org/user/Plant.aspx?LatinName=Lonicera+caerulea
https://en.wikipedia.org/wiki/Lonicera_caerulea
https://gd.eppo.int/taxon/LONCO
https://plants.usda.gov/home/plantProfile?symbol=LOCA6
-
8.0







